Préciser votre budget :
OK
Préciser les pièces :
OK
Préciser les chambres :
OK
Préciser la surface :
OK
Préciser la surface :
OK
Plus de critères
Retour aux annonces

A vendre Terrain 304 m² Saint-Pierre (97410) - Réunion

109 880 € FAI* soit 361 € /m²
miniature miniature miniature miniature miniature
Empruntez aux meilleures conditionslogo meilleur taux

A VENDRE - TERRAIN A PARTIR DE 304 M2 ENVIRON - SAINT-PIERRE - A PARTIR DE 109 880 € HAI

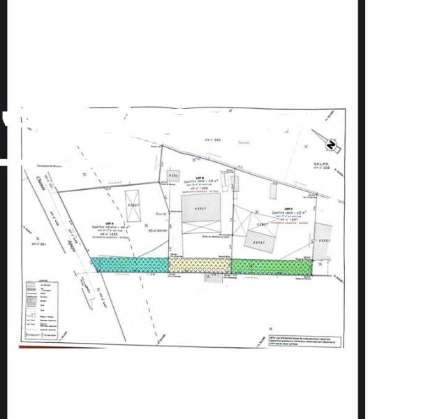
A VENDRE - Le Cabinet Habilis vous propose à la vente quatre terrains à prendre dans une plus grande parcelle de 1 714 m2 environ, situé à SAINT-PIERRE dans le quartier de la Ligne Paradis.
Ce terrain est idéalement situé en zone UG (zone urbaine générale) selon le PLU, offrant des possibilités d’aménagement.
A proximité immédiate de toutes les commodités et des principaux axes routiers, ce bien bénéficie d'un emplacement stratégique pour un investissement locatif ou de construction résidentielle.
Ce bien est divisé en 4 parcelles distinctes, offrant une grande flexibilité pour un projet immobilier, qu’il soit locatif ou résidentiel.
- Lot 1 : 494 m2 environ au prix de 159 912 € HAI.
- Lot 2 : 474 m2 environ, avec une maisonà rénover ou à démolir de type T4 d'environ 78,9 m2 au prix de 199 980 € HAI.
- Lot 3 : 452 m2 environ, sur lequel se trouve une maison à réover ou à démolir de type T2 d'environ 24,85 m2 au prix de 169 240 € HAI.
- Lot 4 : 304 m2 environ au prix de 109 880 € HAI.
Ne manquez pas cette opportunité d'acquérir un de ces biens . Les honoraires sont à la charge du vendeur.
Vous pouvez consulter notre grille tarifaire en vigueur à l’adresse suivante : https://www.cabinet-habilis.com/docs/nos-honoraires.pdf
Les informations sur les risques auxquels ce bien est exposé sont disponibles sur le site géorisques : www.georisques.gouv.fr
Contactez votre agence immobilière, sous le numéro de carte professionnelle no : CPI 9742 2017 000 017 264 délivrée par : CCI de la Réunion au [coordonnées réservées] ou au[coordonnées réservées] ou par mail sur [coordonnées réservées] ou sur [coordonnées réservées] />Annonce rédigée sous la responsabilité éditoriale de l'agent commercial.

Caractéristiques de ce terrain à vendre à Saint-Pierre (97410)

  • Surface habitable : 304 m²
  • Surface du terrain : 304 m²
  • Référence de l'annonce : 4530-ERA-NK-2
  • Prix de vente : 109 880 € FAI (Frais d'Agence Inclus)*
Empruntez aux meilleures conditionslogo meilleur taux

Cette annonce immobilière vous est proposée par :

Cabinet HABILIS

Ce bien vous intéresse ?
Contactez l'agence dès aujourd'hui...

En savoir plus sur l'agence Cabinet HABILIS

Cette agence immobilière propose à ce jour 86 biens à la vente et 39 biens à la location sur Immodesiles.fr.

Le barème d'honoraires de l'agence ne nous a pas été transmis.

Autres terrains à vendre à Saint-Pierre (97410), susceptibles de vous intéresser

terrain  de 602m2 a vendre st-pierre  ville ile de la reunion 5 Terrain 5 pièces 602 m² Saint-Pierre (97410) 5 pièces, 1 chambre, terrain 602 m² terrain constructible vendre de 602M2 (parcelles 491 sur le plan) situ en ville de st-pierre 5 minutes du centre ville, en zone UD, hauteur de construction: 15 mtres l'gout et 20 mtres au fatage soit du R+5+ comble, COS 60%, Ce bien vous est propos au prix de 600000 euros, honoraires la charge ... Réf. 6433KTeka Immobilier 600 000 € soit 997 € /m² a vendre- st pierre- terrain de 596 m2- proximité des établissement s scolaires. 3 Terrain 596 m² Saint-Pierre (97410) terrain 596 m² A Bois d'Olive, Joli terrain à bâtir dans un quartier résidentiel. Venez découvrir ce terrain constructible de 596 m² . Sa belle superficie vous offrira un confort de vie exceptionnel, idéal pour réaliser la maison de vos rêves avec un grand jardin, une piscine ou un espace de loisirs extÃ... Réf. 109486-Lot2Sunkaz 183 000 € soit 307 € /m² parcelle viabilisÉe de 277m2 À kaisary - grand bois 2 Terrain 277 m² Saint-Pierre (97410) terrain 277 m² Découvrez cette parcelle viabilisée et prête à bâtir de 277 m2 située aux portes de Saint-Pierre. Le lotissement Kaisary offre une véritable douceur de vivre aux futurs acquéreurs. Très bien placé dans le quartier de Grands Bois, le lotissement est idéalement placé à proximité d... Réf. 762-09L'agence By Cbo 137 000 € soit 495 € /m² grands-bois - st pierre - parcelle viabilisÉe de 405m2 : kaisary 2 4 Terrain 405 m² Saint-Pierre (97410) terrain 405 m² À la recherche d'un terrain prêt à accueillir vos rêves de maison dans le sud de l’île ? Découvrez nos parcelles prêtes à construire nichées aux portes de Saint-Pierre (direction sud-ouest). La résidence Kaisary vous promet une qualité de vie incomparable. Idéalement situé dans le qua... Réf. 762-2-14L'agence By Cbo 198 000 € soit 489 € /m² saint pierre 97410 - ravine blanche terrain plat - zone ud - emplacement de choix 1 Terrain 180 m² Saint-Pierre (97410) terrain 180 m² SAINT PIERRE 97410 - RAVINE BLANCHE - STOP AFFAIRE pour cette belle parcelle d'environ 180 m2 située en zone Ud dans un quartier prisé. Idéalement placé sur un axe passant, ce terrain conviendrait aussi bien à qui souhaite y implanter sa résidence principale ou un bureau / commerce. Commodité... Réf. 25-5421Le Forum Immobilier 140 000 € soit 778 € /m²